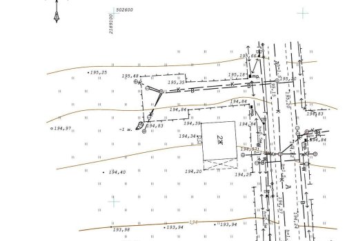
Топографическая съемка участка. д.Троице Сельцо, 0.20 га

Объем работ: 20 соток
Объект: Площадной
Территория: Частный участок
Для каких целей: Топосъемка участка для подключения газа
Для кого: Частное лицо
Район работ: Мытищи, Мытищинский район, д. Троице Сельцо.

Позвонить