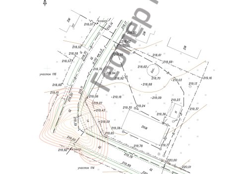
Топографическая съемка частного участка, КП Анютины глазки, 14 соток

Объем работ: 14 соток
Объект: Площадной
Территория: Частный участок
Для каких целей: Топосъемка для подключения газа
Для кого: Частное лицо
Район работ: Клинский район, КП Анютины глазки

Позвонить