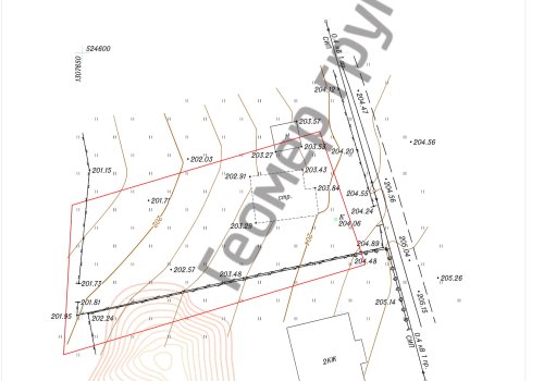
Топографическая съемка частного участка, д. Борихино, 15 соток

Объем работ: 15 соток
Объект: Площадной
Территория: Частный участок
Для каких целей: Топосъемка для разрешения на строительство
Для кого: Частное лицо
Район работ: Клинский район, д. Борихино

Позвонить