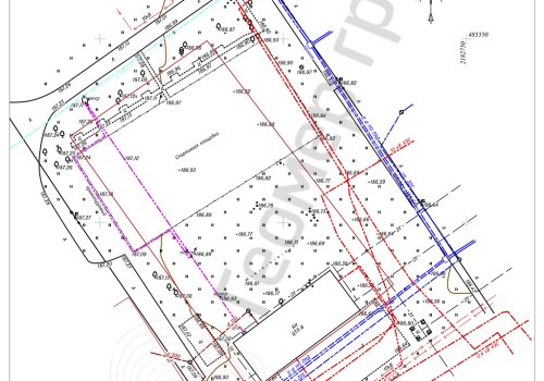
Геоподоснова застроенной территории. г.Химки, Мельникова пр-т, 1,12 га

Объем работ: 1,12 га
Объект: Площадной
Территория: город
Для каких целей: Геоподоснова для строительства
Для кого: ООО"ГарантГрупп"
Район работ: г.Химки, Мельникова пр-т

Позвонить